Yenimahalle'de Trafo Alanı İçin İmar Planı Değişikliği Onaylandı

Yenimahalle

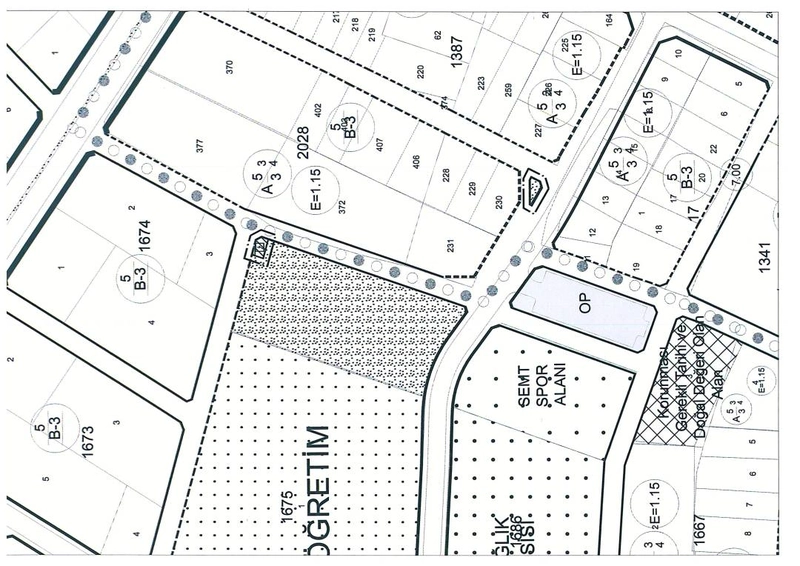
Yenimahalle 1674 ada 3 parselin güneyindeki alanda 'Trafo Alanı' amaçlı Uygulama İmar Planı değişikliği, belediye meclis kararlarıyla kabul edildi ve bir ay süreyle askıya çıkarıldı.

Yenimahalle 1674 ada 3 parselin güneyindeki alana 'Trafo Alanı' amaçlı Uygulama İmar Planı (UİP) değişikliği teklifi, Bandırma Belediyesi Meclisi'nin 7 Ekim 2025 tarih ve 92 sayılı kararı ile kabul edildi.

Büyükşehir Onayı ve Askı Süreci

Onaylanan plan değişikliği teklifi, daha sonra Balıkesir Büyükşehir Belediyesi Meclisi'nin 13 Ocak 2026 tarih ve 107 sayılı kararı ile onandı. 3194 sayılı İmar Kanunu'nun 8/b maddesi uyarınca, değişiklik bir ay süreyle ilan edilmek üzere askıya çıkarıldı ve Bandırma Belediyesi'nin internet sitesinde yayınlandı.

İlan Duyurusu

Konuyla ilgili taraflara ilanen duyuruldu. Duyuru tarihi 3 Şubat 2026 olarak belirlendi.


Balıkesir,Bandırma Belediyesi

Balıkesir,Bandırma Belediyesi
belediye365.com
Haber Kaynak : İGFA

Haliliye'de Ramazan Öncesi Zabıta Denetimleri: 3 Bin 696 Ürün Ele Geçirildi

Mersin'de Jandarma Ekipleri Emniyet Kemerinin Önemini Vurguladı

Aksaray Belediyesi'nden Ramazan Ayı İçin Kapsamlı Hizmet Seferberliği

Karatay'da Ramazan Ayı Kapsamlı Etkinlik Programıyla Karşılanacak

Çorum'da Özel Eğitim Öğrencileri ve Emniyet Personeli Vatan Sevgisi Temalı Etkinlikte Buluştu

Geceye Nevide Çiçek damgası! Number One TV sunucusu ödülle taçlandı

Başkan Dinçer'den Ramazan Mesajı: Rahmet ve Dayanışma Vurgusu

Eyyübiye Belediye Başkanı Kuş, Ramazan'da Dezavantajlı Aileleri Ziyaret Etti

Meram Belediye Başkanı Mustafa Kavuş'tan Ramazan Mesajı

Bandırma'da Ramazan Davulcuları 20 Mahallede Görev Başladı

Bozüyük'te Geleneksel İftarlar Yeni Düğün Salonu'nda 'Ramazan Sofrası'nda Verilecek

Kayseri'de Tasmakıran Camii Restorasyonu Tamamlandı, İlk Teravih Namazı Kılınacak

Kayseri'deki Millet Bahçesi, Geniş Kullanım Alanlarıyla Yoğun İlgi Görüyor

Bandırma Belediyesi Başkanı, Ramazan Ayının Huzur ve Bereket Getirmesini Diledi

Odunpazarı Belediye Başkanı Kazım Kurt'tan Ramazan Mesajı: Dayanışma ve Birlik Vurgusu